井尻野土地南号地
井尻野南号地
| 所在地 | 岡山県総社市井尻野 |
|---|---|
| 交通 |
JR伯備線総社駅 徒歩24分 JR吉備線総社駅 徒歩24分 |
| 種別 | 売地 |
| 部屋/区画番号 | |
| 総戸/区画数 | 1 |
| 価格 | 1,309万6,800円 |
| 駐車場 | |
| 取引態様 | 売主 |
| 引渡/入居時期 | 相談 |
| 現況 | 更地 |
| 地目 | 畑 |
| 用途地域 | 第二種住居 |
| 都市計画 | 市街化区域 |
| 地勢 | 平坦 |
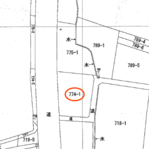
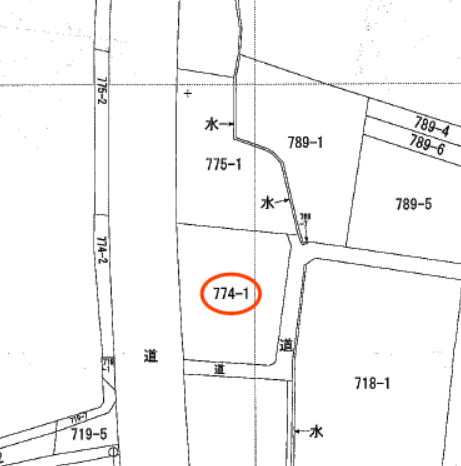
| 土地面積 | 254.7m² |
| 土地面積計測方式 | 公簿 |
| セットバック | 無 |
| 建ぺい率 | 60% |
| 容積率 | 200% |
| 土地権利 | |
| 接道状況 | 一方 |
| 接道方向1 | 西 |
| 接道間口1 | 18.5m |
| 接道種別1 | 公道 |
| 接道幅員1 | m |
| 物件番号 | 10031 |
| 間取備考 | ||
|---|---|---|
| 設備条件 | プロパンガス 公営水道 排水下水 農地転用、上下水道引込費用は買主負担。
土地面積254.7㎡(77.04坪)。
下水道受益者負担金134,991円(1㎡@530円)。
現況渡し。
総社中央小学校(1.2km)徒歩約17分、総社西中学校(1.9km)自転車約6分。
|
| この物件のお問い合わせ先 | |
|---|---|
| 会社名・TEL | 総社土地開発株式会社 岡山県総社市総社2丁目19-11(JR吉備線 東総社駅から徒歩1分) TEL:0866-92-0636 FAX:0866-92-0635 Mail:メールフォーム 営業時間:午前9時~午後5時 定休日:水曜、祝日 |
このマンションの周辺環境マップ
Loading...




自社物件につき仲介料不要(直接ご来社のお客様に限り)。